近日,江宁核心区可谓动态不断!
先是东山热盘-万科都荟启境二期领销许火速入市;接着位于地铁5号线新亭路站地铁口的G91项目商业规划出炉,江宁核心区商业资源再添一座!
于此同时,下周一土拍,江宁核心区又将出让一幅优质地块!更重要的是,据本站此前统计,今年下半年江宁核心区不少纯新盘都将入市首开,并且这些楼盘以改善为主!今年下半年改善客们抓紧了!
01、江宁核心区再添一座商业体!
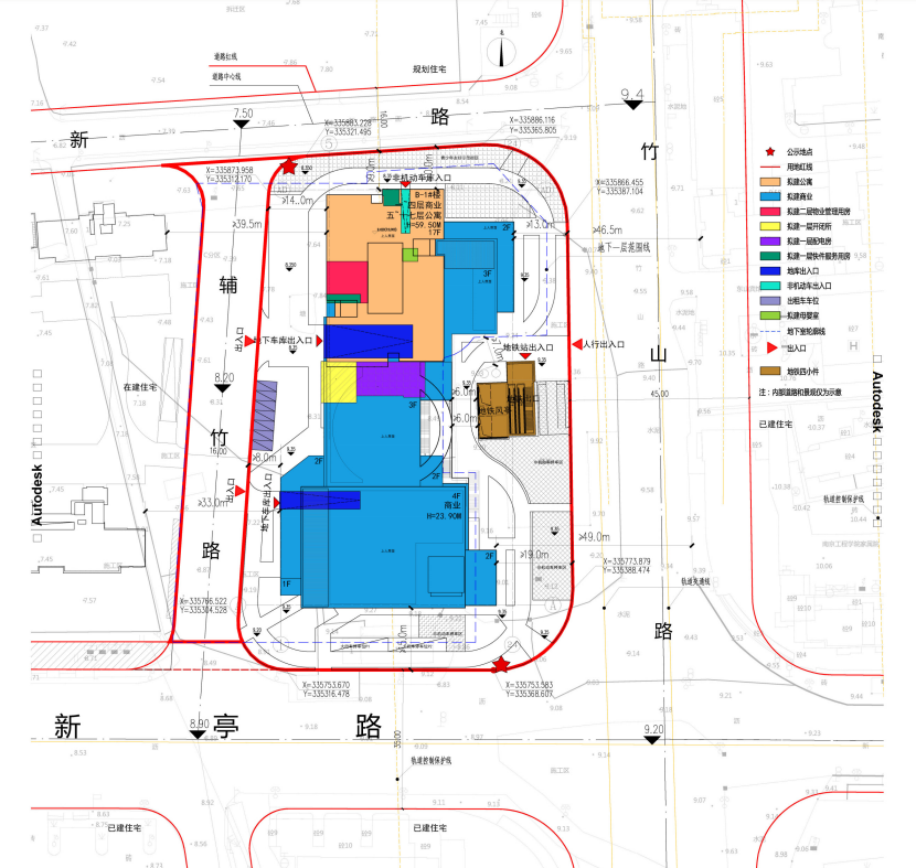
近日,江宁竹山路G91地块商办规划出炉,最新效果图也同步曝光!值得注意的是G91地块是商住混合地块,其中住宅部分就是已经火爆收官的朗诗·玲珑新亭项目。

2022年10月土拍,明月建设以5.45亿元底价拿下江宁东山G91地块,成交楼面价11039元/㎡,不设置毛坯限价。
G91地块位于江宁区东山街道竹山路以西,新亭路以北。规划用地性质为R2二类居住用地、Bb商办混合用地。
根据规划,A分区拟建3栋17-20F小高层住宅(即朗诗·玲珑新亭), B、C 分区为商办混合用地及地下空间。

B分区规划用地性质为 Bb 商办混合用地,用地面积为10211.67平方米,容积率<2.8,建筑高度<60(m),建筑密度<40%,绿地率≥20%,C 分区仅出让地下空间。

该项目拟建设 1 栋酒店式公寓及商业设施,总建筑面积约 4.14 万平方米其中地上建筑面积约 2.86 万平方米,地下建筑面积约 1.28 万平方米。


其住宅部分——就是今年楼市关注度非常高的朗诗玲珑新亭项目。该项目一个月两次开盘,直接收官,一气呵成!
项目5月8日首开时,当日全部售罄;当时68套房源吸引了442组购房者报名,中签率仅15.38%,一举刷新了2023年江宁的新房最低中签率纪录。

6月7号,项目收官加推,共有80房源,吸引了351组买房人参与报名,综合中签率仅22.79%,开盘当天一个小时,去化9成,成绩也非常亮眼。

目前,项目在售4号楼少量房源,销许均价39996元/㎡,主力在售户型建面约143㎡,精装修交付,不卖装修包,全屋智能化设计。
截止7月14日14时,据网上房地产数据显示,朗诗·玲珑新亭加推的148套房源,仅9套未售,整体去化率约94%。

与此同时,下周一江宁将有一幅宅地出让,位于江宁核心区,即NO.2023G39地块。

地块详情:江宁区江宁高新区竹山路以东、横二路以北地块
地块四至:东至兴民北路,南至横二路,西至竹山路,北至新亭路
规划用地性质:R2二类居住用地
出让面积:62024.62㎡(含仅出让地下2022.99㎡)
容积率:综合容积率2.1
挂牌起始价:237000万元
最高限价:271000万元
起拍楼面价:18809元/㎡
最高楼面限价:21507元/㎡
地块解析:NO.2023G39地块西北角规划有一幅商办混合用地,为5号线地铁新亭路站地铁上盖,未来将进行居住、商业、办公等混合功能开发,将提升片区形象。
从区位来看,NO.2023G39地块位于主城东山老城中心区,地段优势显著,临近在建地铁5号线新亭路站,周边有龙湖天街、万达商业广场、江宁杨家圩市民中心、市民广场等。
地块隔壁就是江宁神盘-龙湖春江郦城,目前在链家网,龙湖春江郦城二手房挂牌均价42536元/㎡。

此外,地块附近还有在售的朗诗·玲珑新亭,销许均价39996元/㎡,主力在售户型建面约143㎡,精装修交付。
该项目上文已经讲解过非常受买房人和市场欢迎,当时开盘热度非常高。一个多月收官,非常神速!
值得注意的是,G39地块的起拍楼面地价18809元/㎡,比朗诗玲珑新亭项目(楼面地价11039元/㎡)要高了7770元/㎡!
据了解,该地块未拍先热,多家房企有拿地意愿,并展开了地块的深度研究,下周一我们拭目以待!
02、今年,江宁改善当道!核心区选择众多!
此前,本站曾经统计过,今年江宁核心区板块的供货上市情况。目前,小龙湾、百家湖、科学园板块内均无主力在售楼盘,但板块内均各自有一家纯新盘待入市!
相较而言,东山板块库存就要充足很多。除朗诗玲珑新亭项目抢跑售罄外,区域内不仅有武夷七里湖山一家纯新盘,以及刚领销许的万科都荟启境二期、马上收官的海玥华府项目。
小龙湾板块
目前,小龙湾板块自龙湖春江郦城收官后,并无新房在售,仅一家纯新盘——金融城G93地块待上市,值得注意的是该项目将由仁恒操盘,预计最快今年年底入市。

该项目于6月1日规划出炉,因为项目是G92、G93共同发展,从规划方案来看,整个项目业态非常丰富,有住宅、有商业、有商办。

其中,商业部分全部滨水,设计非常炫酷,沿秦淮河河湾位置铺陈开来,由金融城主要负责;此外还有一部分是办公类产品,颜值实际也非常具有现代科技感。

至于住宅部分,位于G93的A区,共拟建10栋14-22F住宅,没有连廊,整体定位高端,由仁恒操盘。
从公示的效果图来看,住宅部分的外立面高透大面积玻璃,窗墙比较高,香槟金色线条,以及王冠式屋顶,高端奢华感显而易见。

从地理位置上看,金融城G92、G93地块位于江宁小龙湾板块。毗邻江宁龙湾天街,江宁市民中心和杨家圩市民公园;交通上,靠近地铁1号线竹山路站以及在建的地铁5号线新亭路站,交通便捷,位置十分优越。
二手房方面,周边有龙湖春江郦城和东渡国际青年城等小区,居住环境优越,人居氛围浓郁。
从目前的释放的消息来看,项目打造140、180、220、330㎡户型(具体以开发商公布为准),起步140㎡户型,最大330㎡,并且由仁恒操盘,妥妥江宁核心区高端改善的天花板,对于区域内迫切的改善需求,该项目是个不错的选择。
科学园板块
科学园板块自万科都会四季收官后,就一直处于房荒的状态,直至招商璀璨璟园的出现。
据最新消息,璀璨璟园项目将于下周首开3、4号楼,共144套房,户型100、135㎡,预计均价约3.5万/㎡。
璀璨璟园项目前身是江宁科学园G08地块,今年3月的首批土拍中,科学园G08地块,经过47轮竞价触顶摇号,最终被招商以总价18.15亿元拿下,成交楼面价17415元/㎡。
此后4月初,不足一个月的时间,项目规划便已出炉,根据规划,项目拟建13栋14-18F小高层住宅,容积率仅2.1,居住氛围相当纯粹。

5月初项目案名曝光,并同步公开了城市展厅;6月初项目户型图曝光,6月中旬正式公开实景示范区及建面约100、135㎡样板间;7月初,招商蛇口璀璨系南京首作全球发布盛典在南京景枫万豪酒店举行。项目进展非常神速!

户型方面,项目主力100㎡、135㎡户型,适合刚改、改善人群上车;此外在户型规划上,两户型均是三房起步,并都带了两个卫生间,更好地保护好每一个人的隐私空间。并且该项目大概率是无升级包,直接精装修交付,得房率约80%-82%。
据悉,项目将打造约4.1万方总景观面积、约2.4万方绿化面积,规划有绿氧树厅、林栖鹿屿、轻氧聚场、林光星屿、香氛花园、翡翠客厅六大主题花园场景。

百家湖板块
目前百家湖板块仅仅1盘百家臻园在售,但据此前报道的消息,板块内唯一纯新盘-象屿百家湖G16项目正在组建销售团队的消息,预计今年入市。
项目是今年南京二批次土拍中竞争最为激烈的一幅地块。5月10日,该地块经过激烈的13轮竞价、仅37秒边触顶待摇号,最终被象屿以成交总价13.9亿元夺得,成交楼面价21280元/㎡。紧接着,5月26日,项目规划便被公示出来!拿地仅仅16天便规划出炉,此外,拿地20多天,就有机器进场,进度不可谓不快。
根据规划显示,项目拟建9栋17-18F小高层住宅,整体南北两排式分布,中间做园林景观,楼高都只有17-18F,楼间约51米。

项目外立面采用当下流行金属、一体板模式,窗墙比较高。

据悉,该项目由华发、象屿、金域联合开发,华发负责操盘。
项目位于百家湖硅巷,周边配套完善,南侧规划有小学、幼托用地,北侧即为秦淮新河,距离地铁3号线胜太西路站仅几百米。周边有紫金研创中等企业,有大量硅巷科研产业群体。

价格方面,百家湖G16成交楼面价为21280元/㎡,相较于前期成交的招商璀璨璟园(科学园G08地块|成交楼面价17415元/㎡)地价更高,预计均价将在4万/㎡,但G16这块地相较于科学园来说,在江宁内部的位置上更靠近南京主城。
此外,前面提到的,该区域内已经断供十多年了。不仅如此,目前整个百家湖板块也仅1盘百家臻园在售,楼盘供应紧俏。
东山板块
武夷七里湖山
武夷七里湖山是江宁首个华为全屋智能4.0住区,精装无包;据悉,项目预计均价约3.45万/㎡起,最快三季度入市!并且,项目物业为万科物业,武夷可以说深耕江宁,已在江宁打造武夷绿洲、武夷花园、武夷名仕园、武夷凌云公馆等一批楼盘。根据规划,项目拟建9栋18F小高层住宅及相关配套用房。

在户型设计上项目将打造建面约99、118、130、143㎡四种户型,同时项目的户型得房率高达82%!
建面约99㎡的三房两厅两卫户型:

建面约118㎡的三房两厅两卫户型:

建面约130㎡的四房两厅两卫户型:

建面约143㎡的四房两厅两卫户型:

中国武夷东山G47地块位于世纪东山小区隔壁,周边分布较多老小区以及经济适用房,二手房挂牌均价从2.1-2.5万/㎡不等。
地块斜对面为还有少量新房在售的海玥华府,该项目是由上海建工打造的科技住宅,现房销售,销许均价约34345元/㎡。去年7月12日,东山G47地块经过4轮竞拍,最终被中国武夷以11.7亿元拿下,楼面地价为17199元/㎡,未来最高毛坯限价31000元/㎡。值得注意的是,G47是东山第一幅限价地块,搭配基础包+精装包的话,未来房价很可能达到3.45万/㎡,将突破目前东山的新房天花板(万科都荟启境3.44万元/㎡)。
聚景园
聚景园位于江宁东山板块,是区域内的超级老盘,该项目拿地已经超过20年,今年终于传出要上市的消息,不免让人有所期待。据悉,项目规划2栋住宅,规划住宅总户数为180户,预计打造户型面积段约90-260㎡,定位改善宽适大宅,有望年底上市!聚景园项目位于南京市江宁区东山街道,用地北接上元大街,东接东新南路,西侧和南侧为商业和居民区。周边老小区较多,有电机厂家属区、嘉顺时代广场、日光佳园、顺达佳苑、汇福佳苑等。距离在建东山地铁站、万达广场不远。
中天云来
中天云来项目跟朗诗玲珑新亭前身均是去年同一批出让的地块,该项目也跟朗诗玲珑新亭一样,节奏迅速,抢先入市,但是去化结果却大相径庭。
目前项目在售2#、4#、5#、7#,户型建面约77、88、99、112、115、143㎡,精装销许均价约34410元/㎡。
据南京网上房地产显示,项目两次开盘,共268套房源,累计认购+成交145套,整体去化约5成。

此外,老盘方面,江宁东山两家现房项目,预计将于本月加推,分别是海玥华府跟万科都荟启境二期。
海玥华府:据最新消息,项目预计将于近期加推最后一批8号楼房源,共108套,户型建面约98、117㎡,两梯两户!
万科都荟启境二期:项目刚领取了4号楼销许,共93套房源,建面约104、124㎡,销许均价35628元/㎡,精装修,无升级装修包,首付3成起。目前已结束报名,无须摇号,直推入市。

写在最后:
今年以来,江宁核心区楼市已经明显进入改善时代,尤其是今年下半年即将入市的项目。
已经收官的朗诗玲珑新亭,收官均价约39996元/㎡,户型建面约117、143㎡,总价468万起;
在售的中天云来,均价34221元/㎡,户型建面约77、88、99、112、115、143㎡,总价263万起;
待售的海玥华府,项目即将收官的8号楼,共108套,户型建面约98、117㎡,前期均价在34345元/㎡,总价337万起;
正在开盘的万科都荟启境二期,93套房源,建面约104、124㎡,销许均价35628元/㎡,精装修,无升级装修包,总价370万起;
纯新盘方面:
仁恒操盘的金融城G93住宅部分,已知要做建面约140、180、220、330㎡江宁超级大平层,考虑仁恒的产品力和溢价能力,未来G93预计将冲击5万/㎡的大关,预计总价在700万起步,妥妥的改善天花板了!
武夷七里湖山,预计未来均价约3.45万/㎡,项目打造建面约99、118、130、143㎡四种户型,总价341万起;
招商璀璨璟园,将于下周首开3、4号楼,共144套房,户型100、135㎡,预计均价约3.5万/㎡,总价350万起步;
百家湖G16地块,目前项目户型还未公布,但以项目成交楼面价21280元/㎡,未来上市不限价,预计均价会卖到4万/㎡左右;不难发现,从户型来看,区域内打造的产品建面除中天云来外,其它楼盘均偏向于改善,起步户型均在100㎡左右;从价格来看,均价都超3.4万/㎡,总价最低337万起。