刚刚,燕子矶热盘保利燕璟和颂申领了4号楼销许,明起开始报名,值得一提的是,项目此前加推的楼栋去化超9成,受到不少买房人追捧。
与此同时,仙林纯新盘未开先火,50天蓄客5000组,预计将于五一假期正式对外公开!
01、首付6成,燕子矶热盘即将加推,去化已超9成
保利燕璟和颂今日(4月19日)领取4号楼销许,共96套(人才20套、无房29/39套),户型建面约89、109㎡,全装修销许均价约33923元/㎡,另有3200元/㎡装修包可选择,首付6成起,验资172万元。
摇号报名时间:4月20日上午9:00-4月21日上午9:00;
报名方式:报名人可通过关注公众号:南京房地产微政务,点击“房帮宁-买房报名-宁小通-商品房报名”进入报名通道进行线上报名。

一房一价表:


项目共加推过4次,共入网488套房源,截至目前累计认购+成交452套,去化超9成,算是片区内买的最好的一个项目。
- 1月5日,项目领取首开楼栋2、7号楼销许,共252组摇200套房源,中签率79.4%。户型建面约89、99、109、132㎡,全装修销许均价约34432元/㎡,另有3200元/㎡装修包可选,首付3成起,无需验资。
- 2月21日,项目第二次加推,共152组摇96套房源,中签率63.2%。1号楼共96套(人才20套、无房29/39套),户型建面约89、109㎡,全装修销许均价约33723元/㎡,另有3200元/㎡装修包可选,首付3成起,验资28万元。
- 3月9日,项目新推6号楼,共88套(人才18套、无房27/36套),户型建面约89、109㎡,全装修销许均价约34461元/㎡,另有3200元/㎡装修包可选,首付3成起。
- 3月27日,项目领取8号楼销许,共104套(人才32套、无房32套),户型建面约99、132㎡,全装修销许均价约34839元/㎡,另有3200元/㎡装修包可选,首付6成起,验资192万元。

项目前身为燕子矶G32地块,在去年7月12日土拍中,该地块最终以33.3亿元的成交总价被保利一举拿下,毛坯限价32640元/㎡,楼面地价20953元/㎡!

项目规划打造约22万㎡宜居大盘,共打造15栋楼,整个社区绿地超20000㎡,真正做到了大景观、大社区,此外,项目自带约1000㎡奢阔下沉式庭院会所-杏林会。

围绕“杏林春燕 秋燕归巢”主题,打造“一巢环绕、四进礼序、八园汇聚”为景观布局,配以东高西低的特色坡地造景,超大园林美轮美奂。

项目外立面采用大面积玻璃墙,全封闭阳台,超高窗墙比,将建筑美学发挥极致,视野采光优越。

户型方面,项目打造89㎡三房一卫起步,99㎡三房两卫,109㎡三房两卫,132㎡三房两卫四大主力户型,全部三房设计。
其中,建面约89、99㎡户型为双阳台,109、132㎡为LDK通透横厅、超大宽景阳台,并且厨房带有西厨岛台,全飘窗均为赠送,同时阳台都是全封闭交付。
保利燕璟和颂的精装标准也是相当硬核,配备品牌新风、中央空调、全屋地暖系统三大件,松下、兰舍、菲斯曼、唯宝、高仪等一线品牌也都能看到,且贴心设置了智慧家居系统。


在细节上,做了无主灯设计,建面约132㎡主卫安装了美妆冰箱等亮点,带来更好的居住体验感。



项目地段十分优越,地处城北“新街口”正核心位置,旁边一公里范围内配齐学校、地铁、商业等顶级配套。
2011年,燕子矶被列为南京重点打造的十大板块之一;接着,南京市规划局发布燕子矶新城区改造详细规划,片区从传统的老工业基地朝着人文、滨江、宜居的新城迈进,板块价值再上一层台阶!
交通方面:南京地铁1号线北延,7号线北段、燕子矶长江隧道、和燕路快速化改造(主线)已经正式通车,再加上2024年即将通车的地铁6号线,整个燕子矶约18平方公里,汇聚了3条地铁线路,其密度之高在南京各板块中非常少见。
商业方面:周边约30多万方城市级综合商业,繁盛体验交织。其中,招商花园城是花园式购物中心,提供购物、娱乐、餐饮、休闲的一体化体验。21万方的华润万象天地综合体项目已封顶,预计2023年开业。
教育方面:南师附中燕子矶新城学校已经开学,项目周边还有燕子矶幼儿园,南外仙林分校燕子矶校区等。前不久,燕子矶新城观音门中学、观音门小学及幼儿园规划正式出炉,板块再添两所学校。

医疗方面:未来,燕子矶新城医院、市妇幼保健院分院、三甲江苏省中西医结合等配套也日益醇熟。
生活配套方面:燕子矶新城体育公园正在加速建设中,目前项目施工迎来最新进展,整体楼栋建设进度已达80%,预计今年底前将实现主体封顶,项目整体将于2024年竣工。

除保利燕璟和颂外,区域内还有2盘待入市(栖霞建设G33、高科G34),2盘在售(华发·四季雅筑、颐和四季府)。
栖霞建设G33地块:即将公开实景示范区暨样板间,预计5月首开,项目规划10栋28-29F高层住宅,打造建面约89、120、126㎡全系横厅户型,带露天泳池、会馆。含包放风价在3.5-3.6万/㎡,为栖霞建设在燕子矶板块打造的首个项目。

燕子矶高科G34:著名的燕子矶滨江老镇地块,2022年7月12日被高科竞得,成交总价16亿元,成交楼面价17349元/㎡,这块地为不限价地块。
住宅部分定案名为:江悦堂,将分为南苑、北苑、东苑三个住宅区;商业部分定案名为:燕栖渡商业广场,据悉,项目将对标太古里,打造南京目的性消费商业新名片。

华发四季雅筑在售1、3-11号楼,户型建面99、120、140㎡,全装修销许均价34224元/㎡,另有2500元/㎡装修升级包,首付3成。

颐和四季府:在售10、13栋收官房源,共245套住宅,户型建面89、108、128㎡,全装修销许均价34572元/㎡,另有升级装修包2650元/㎡。

值得一提的是,华发四季雅筑和颐和四季府两盘价格相差不大,华发四季雅筑的起步面积更大一点,总价自然也会更高点,但是该项目拥有独立会所。颐和四季府因其更靠近主干道燕城大道,未来出行比较便捷,同时项目配有底商,生活更便捷。
02、50天蓄客5000组,仙林纯新盘即将公开
近期,仙林纯新盘美都星屿熹传来新消息,项目预计五一假期左右公开售楼处和样板间,5月底首开,总价段约220-280万元。
值得一提的是,从项目最近释放出的飞机稿来看,美都·星屿熹,50多天蓄客5000组客户,这个数据可以说十分耀眼。

据悉项目将打造建筑面积约75㎡(2+1房)、89㎡(LDK时尚3房),总价段约220万-280万。
建面约75㎡2+1房,阳台打造了约2.4*3.7米的多功能区,且还是270°的瞰景视野;厨房采用推拉门,进一步放大公区空间;主卧、次卧、卫生间均带飘窗,进一步提升空间的功能性。
建面约83㎡,也是2+1的格局,做了宽厅+1的功能性设计,可以打造开放式书房、茶室、电竞房等,空间运用灵活;
建面约89㎡打造了两种户型:3房2厅1卫,南向超大双阳台,LDKB一体化+南向超大双阳台,公共空间尺度惊人;
3房2厅2卫,三开间朝南、主卧套房、南北4个飘窗,主卧走廊还能放双衣橱,更是把空间运用到极致。
虽然总价不高,但项目品质保证并未放松,产品力超级能打。

据悉,项目立面采用仿石材一体板搭配大面积玻璃窗,极简时尚的室内设计风格,窗墙比较高。在仙林中心内部,这样的外立面已经站在了前沿。
并且不卖升级装修包,从源头上节省买房成本,因此均价相比周边楼盘要便宜。

基础装修交付标准包含了中央空调、地暖、新风三大件,厨房还配备了洗碗、客餐厅地面交付标准也使用了仿石砖,装标品牌均选用了国内外一线品牌。

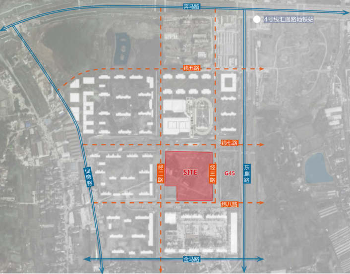
该地块位于南京市江宁区麒麟街道,东至经三路、南至纬八路、西至经二路、北至纬七路规划用地。
去年7月,仅1轮报价,汇通路G44地块被南京地铁小镇开发建设集团有限公司以底价11亿拿下,成交楼面价约17527元/㎡,毛坯销售限价28500元/㎡。

汇通路可以称得上是一个黑马板块,从板块概念提出至今,目前区域内已聚集了万科、新城、正荣、中南等品牌房企,加之在政府规划下,各项利好不断!
交通上,地铁2号线、4号线与主城绑定,并且项目就在4号线汇通路站地铁口,刚刚确定规划的8号线又实现了城东与城南的联通,交通网络四通八达。
教育方面:项目旁边,规划建设1所4轨12班幼儿园,及1所5轨30班小学。去年6月,南京地铁小镇公司就与南京外国语学校仙林分校、江宁区教育局签订合作办学协议,确认引进了公办南外(包含幼儿园、小学),目前已经正在建设当中。公办南外加持,对标河西南、大校场。
商业方面:项目2公里内可享受到九霄梦天地、金鹰湖滨天地的商业配套;还有在建的苏宁广场、仙林德基广场。而在项目周围,也布局了社区商业:从汇通路地铁口出站即是社区中心,买完菜即可步行回家。

目前,该板块并不缺新房,目前还有2盘待售(美都星屿熹、南京地铁G45),3盘在售(新城振业铭著风华、万科紫辰光年、牡丹大观天下)。
2022年7月12日,汇通路G45地块经过1轮竞拍最终被南京地铁底价拿下,成交总价3.9亿、楼面地价15517元/㎡、毛坯限价28215元/㎡。根据规划显示,项目拟建8栋18—20F高层住宅。

铭著风华主力在售1、2、4、6、8-11号楼,户型建面约95、97、100、115、125、136㎡,精装最新销许均价29593元/㎡,整体销许均价区间约23453-30112元/㎡,另有升级装修包2800元/㎡,首付最低3成。

万科紫辰光年主力在售3、5号楼,户型建面约115、143㎡,精装修销许均价约30866元/㎡,另有升级装修包3000元/㎡。在售1、2、4、6-8号楼少量房源,户型建面115、143㎡,精装销许均价30457-31327元/㎡。另有精装升级包3000元/㎡。两梯两户,没有连廊,首付最低3成。

牡丹大观天下在售5、9号楼,户型建面103、125㎡,精装销许均价约29989元/㎡,另有2800元/㎡装修升级包,首付3成。
