上周末,南京楼市明显热了,在售的项目成交认购明显回升,纯新盘也逐步都动起来了。
据南京网上房地产显示,上周(2月6日-2月13日)新房认购量1448套,成交量744套。

上周共有4盘领证,有2盘达到摇号要求,其他2盘“流摇”;同时,上周栖霞建设三子同时公布案名,预计很快上市;汇通路G44地块也释放出产品消息,不仅打造刚需户型,而且不设装修包,总价220万起步就能上车,另外,上周末江宁纯新盘迎来首开,狂销149套、揽金2.4亿。
01、中签率低至14.8%,近1200组买房人抢208套房源
上周共有4盘领证,分别是丹若园、越秀·和樾府、华润·润鸿府、云湖悦府,有2盘达到摇号要求,其他2盘“流摇”;
截止今天上午12:00(2月13日),据“宁小通”显示,河西中丹若园、越秀·和樾府报名结果出炉。
奥体新城丹若园148套房源共吸引998组买房人报名,中签率低至14.8%,平均约7人买一套房。


项目于2月10日领取最后一批房源销许,共计148套,总价约1061万起,验资300万,首付3成起;
奥体新城丹若园位于河西中部梦都大街,紧邻地铁2号线兴隆大街站;处于金陵中学实验小学、中华中学上新河初中施教范围内;项目周边有奥体中心、江苏大剧院、金鹰世界、河西万达等,生活配套非常成熟。
项目首开热度惊人,去年12月中旬,项目首开2栋楼,吸引了700组买房人报名,中签率16%,平均每6个人抢一套房,创下2022年度南京千万级大宅中的最低中签率,首开当晚即售罄,一举斩获16亿,是去年底南京楼市最难买的楼盘。
而本次项目收官,中签率更是低于首开时的中签率,一举让南京楼市的热度直接飙升。

越秀和樾府60套房源共吸引197组买房人报名,综合中签率约30.5%,平均约4人买一套房。


根据南京市公证处显示,项目第一轮摇号时间暂定于2023年2月14日17:00。

项目于2月10日领取央景楼尊销许,共计60套,总价约754万起,验资223万元,首付3成起。
去年11月,越秀和樾府首开120套房,吸引了219组买房人报名摇号,在同期领销许的其他4大改善盘围堵之下,项目依然甩出一张基本售罄的成绩单。
越秀·和樾府位于河西中新城科技园,靠近地铁10号线、在建地铁7号线换乘站点中胜站,一路之隔就是龙湖河西天街、保利云际,邻近明基医院、新城小学、新城中学、在建9年一贯制学校等优质公共生活配套资源。
02、销售爆单,售楼处挤满人,南京楼市真的热起来了
在上周六,江宁禄口空港新城纯新盘绿洲·云湖悦府首开,现场人气爆棚,而且项目首开还推出重磅优惠,开盘当天3万抵5万优惠,开盘当天认购+1万元买产权车位。
从项目的官方公众号所发的视频可以看到,售楼处人气爆棚,座无虚席,项目首开大捷,狂销149套、揽金2.4亿。

上周末,由南京市住房保障和房产局牵头指导,浦口区住房保障和房产局组织开展首场房展会,400多位意向购房者或跟大巴、或自驾,齐聚这里参展,最终达成意向客户80余组,销售签约55单,环比增长83%。

不仅是这一个项目,朋友圈的一些置业顾问和中介也纷纷刷屏。
刚刚申领销许的大校场华润润鸿府虽然本次报名并未达到摇号要求,但现场依旧聚集了很多前来了解的买房人。

龙湖的置业顾问将每天售楼处人流的照片凑成了拼图,晒在了朋友圈。

江核的晴翠府127㎡户型已经全面售罄。

扬子保利萃云台晒出海报,2日来访破200组,销售金额破亿。

保利阅云台晒出项目海报:12天劲销100套

就连二手房的中介都在不断晒成交、认购量。


03、纯新盘都动起来了,最快今年上半年入市
除了在售的一些项目火热了起来,一些还未入市的纯新盘也抓紧了入市的步伐。
就在上周五,栖霞建设三大纯新盘案名正式公布,规划和入市计划同步公布,预计最快今年上半年入市,期待值瞬间拉满。

1、燕子矶G33地块案名:星叶燕尚玥府,最快今年上半年入市
星叶燕尚玥府规划10栋28-29F高层住宅,共计1148户,户型建面约90-126㎡。该项目预计最快今年上半年入市。

据了解,项目采用现代建筑风格,设计素雅的立面色彩,利用单体建筑构建起富有节奏的天际线,整个项目将极具辨识度。大面积玻璃窗,特设私家会馆、露天泳池,注定要成为燕子矶新城的住宅新标杆。

项目位于燕子矶中部学区板块,毗邻在建地铁1号北延线笆斗山站、地铁6号线燕江新城站,周边教育、体育、社区、医疗资源等基础配套设施齐全,西南侧是燕子矶新城体育公园、北侧是燕子矶新城医院,南师附中燕子矶中学、小学、幼儿园均在地块周边,居住氛围浓厚。目前地块周边两大楼盘华发四季雅筑、颐和四季府在售。
2、仙林G35地块案名:星叶半山玥府,打造建面约127-189㎡低密住宅
星叶半山玥府位于仙林,临近鲤鱼山、仙林湖,项目打造16栋7-10F低密住宅,打造建面约127-189㎡纯粹四房户型,预计今年上半年上市。

这个项目打造了约1000㎡高阶会馆,恒温泳池、健身房、多功能空间等,配置非常高端。

项目位于仙林湖板块,周边有新城香悦澜山、融信世纪东方等二手房。目前,板块内有中海观文澜、泷悦雅颂、云樾观山府在售,纯新盘方面,除了栖霞建设G35,还有兰亭和颂、高科紫星堂、高科仙林湖G106地块。
3、栖霞山G37地块案名:星叶枫情玥府,打造8栋9-11F低密山景住宅
星叶枫情玥府打造8栋9-11F纯粹低密住宅,容积率仅1.7。项目户型建面约98㎡、113㎡,预计今年三季度上市。

据悉,小区内的绿化做的较好,有景观树有大面积草坪。另外,楼栋的外立面采用灰白色线条配以玻璃墙,阳台为或落地阳台。

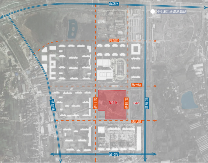
4、汇通路纯新盘G44地块近期也传出最新消息。
项目将打造建筑面积约75㎡(2+1房)、89㎡(LDK时尚3房),总价段约220万-280万。

根据规划显示,城东汇通路G44地块将拟建8栋高层住宅及相关配套用房。
该地块位于南京市江宁区麒麟街道,东至经三路、南至纬八路、西至经二路、北至纬七路规划用地。
去年7月,仅1轮报价,汇通路G44地块被南京地铁小镇开发建设集团有限公司以底价11亿拿下,成交楼面价约17527元/㎡,毛坯销售限价28500元/㎡。

据悉,项目立面采用仿石材一体板搭配大面积玻璃窗,极简时尚的室内设计风格,并且不卖升级装修包,从源头上节省买房成本,因此均价相比周边楼盘要便宜。
基础装修交付标准包含了中央空调、地暖、新风三大件,厨房还配备了洗碗、客餐厅地面交付标准也使用了仿石砖,装标品牌均选用了国内外一线品牌。

最后:2023年,是楼市筑底回升关键的一年,政策利好频出,楼市全面回暖指日可待。