2020年8月20日,济南龙湖疆拓新域!以181564万元成功摘得济南工业北球墨组团地块,这是继奥体TOD项目后,济南龙湖布局的第二个城市门户级TOD项目。此举标志着龙湖持续深耕济南市场的决心,环渤海区域布局进一步深化。

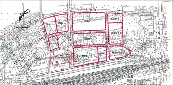
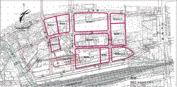
球墨组团地块位于济南市王舍人片区南侧,凤凰路以西,翡翠公馆以东,工业北路以北,规划路以南,总占地面积为148260㎡,建筑面积为342466㎡,涵盖住宅用地和商业用地。
地块地理位置优越,周边公共交通便利,3条轨道交通交汇,其中R3线现已通车,R2线与M1目前处于在建,分别将于今年年底与2023年实现通车;同时,紧邻工业北路、凤凰路主干道,凤凰路双向10车道,贯穿新东站、高新会展、软件园、汉峪商务区,是东部城区最重要的南北道路。除此之外,周边第三人民医院和齐鲁医院东院等医疗资源丰富,而龙湖此次进驻,将进一步优化区域内的商业资源,助力区域的快速发展。
龙湖集团自2013年正式进军济南市,迄今已开发龙湖·名景台、龙湖·春江郦城、水晶郦城、龙湖·春江悦茗、龙湖·龙誉城、龙湖·CBD光年、龙湖·奥东11号、中垠龙湖·汉峪光年、龙湖·春江彼岸、中垠龙湖·舜山府、龙湖·景粼原著、龙湖·九里晴川、龙湖·天璞、龙湖·天琅等,产品主打品质住宅及商业物业,一直以来受到济南市场的充分认可。
值得注意的是,即将于12月18日开业的龙湖济南奥体天街,与龙湖·天璞、龙湖·CBD光年共同组成济南首个TOD项目,弥补了济南市场空白,也为今日获取工业北TOD项目奠定了坚实的基础。
济南市作为山东省省会,发展潜力优厚,一直是龙湖业务布局的战略要地,后续也将持续深耕济南,继续发展,龙湖希望凭借专业团队的经验及实力,以优质的产品与服务,不断为济南市场奉献精品住区和优质商业。
