界面新闻记者 |
界面新闻编辑 | 刘海川
在未征得业主同意的情况下,西安一开发商私售小区绿地获利数千万元,这桩交易在14年后才因一纸民事判决书被小区业主得知。
2025年7月4日,西安世纪颐园小区业主向西安市税务稽查局实名举报称,该小区开发商西安荣康置业有限公司(简称“荣康置业”)私售小区公共绿地。2018年,该地块售得的2150万元现金被转至荣康置业指定的赵某个人账户,小区业主代表举报荣康置业及赵某存在偷税漏税、私卖绿地等情形,要求相关部门进行调查。
“小区绿地属业主共有,开发商无权私售,相关赔偿应该归业主所有。”林峰(化名)等业主向界面新闻表示,“业主现在需要成立业委会,获得向雁塔中院、住建局等单位进行举报的资质,但成立业委会需要向所在街道办提出申请并接受指导备案,目前业主代表已进行申请,但暂未得到批复。”
上述案件焦点之一,在于荣康置业在2018年先将公司注销,又在2020年将债权债务协议转让给小区物业公司,最后通过法院诉讼,获取小区土地出让的数千万赔偿收益。
律师:小区开发商涉嫌非法买卖土地

界面新闻获取到一份盖有双方公章的《合作协议》显示,2012年7月25日,商场开发商陕西智逸实业有限公司(简称“智逸公司”)与荣康置业签订协议,约定拆除世纪颐园小区西侧两栋建筑,共获得2.82亩土地,并将“该宗地土地使用权纳入赵家坡城中村改造整体规划,具体方案由智逸公司确定并实施”。荣康置业获得2150万元现金和3197平方米的房屋对价。
协议签署后,2012年7月、8月,智逸公司根据上述《合作协议》,按荣康置业的指定,将2150万元转至赵某个人账户。
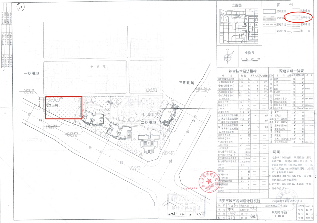
问题在于,上述交易出售的土地,在小区总平面图中确属公共绿地范畴。根据2004年5月西安市勘察测绘院出具的征地成果表,世纪颐园小区征地面积合计30.303亩。另据业主前往住建部门调取到的世纪颐园总平面图显示,该出售地块为公共绿地,依法属全体业主共有。
上述案件是否涉嫌非法买卖土地?段和段律师事务所律师魏栋向界面新闻表示,根据现有材料,世纪颐园小区总平面图明确标注案涉地块为公共绿地,且该地块已纳入小区征地范围,依据《民法典》、《土地管理法》及《西安市城市绿化条例》等规定,该地块依法属于全体业主共有,任何单位和个人不得擅自占用、出租和转让。
“智逸公司与荣康置业签订的《合作协议》,擅自处分公共绿地土地使用权,违反了法律强制性规定。依据《民法典》规定,违反法律、行政法规的强制性规定的民事法律行为无效,故该《合作协议》依法应归于无效。” 魏栋说。“同样根据《民法典》的规定,无效的民事法律行为自始没有法律约束力,因此智逸公司与荣康置业应相互返还因该行为取得的财产。”
魏栋表示,荣康公司的实际控制人或股东或承接其债权债务的蓝基物业(具体主体还需结合相关材料进一步判断),应当向智逸公司返还因履行《合作协议》所获资金;同时,智逸公司应向世纪颐园小区全体业主返还相应土地,若无法返还,则需向全体业主进行等价赔偿。
湖北德馨律师事务所刘陆峰认为,涉案的世纪颐园地块如规划的是公共绿地,开发商荣康置业是无权处置的,政府职能部门未经修改规划并公示,也无权通过重新规划更改土地用途。既然这块绿地被盖了房子,政府也没有强行拆除,说明在绿地上盖房子经过了批准,不构成非法买卖土地,但因此取得的收益应归全体业主所有,因为公共绿地的使用权属全体业主。
林峰(化名)等业主表示,由于目前案件已经二审宣判进入执行阶段,小区业主代表已向西安中院执行局提交材料,同时也在推动业委会成立,后续将以业委会为主体进行诉讼。
小区物业公司获得相关债权转让是否违规?
纵观世纪颐园小区绿地遭私售案件,荣康置业将公司注销后向小区物业公司转移其债权,上述行为是否违规?这也成为法院审理该案件的关注焦点。
2018年8月15日,小区开发商荣康置业召开全体股东大会,决定注销该公司,并确定荣康置业债权、债务、资产及未尽事宜等全部移交给西安蓝基物业管理有限公司(简称“蓝基物业”),其中也包括智逸公司应赔付给荣康公司的房屋。荣康置业将世纪颐园小区三层物业办公楼等交给蓝基物业管理。2018年10月30日,荣康公司正式注销。
2018年11月,智逸公司建设开发的位于西安市雁塔区高新大都荟6号楼工程进行了竣工验收备案。
此外,2020年10月,已注销的荣康置业向智逸公司发出一份盖有公章的《通知》,称:“鉴于2012年7月25号你公司与荣康置业所签订的合作协议,你公司至今均未履行合同约定的全部义务……其中你公司未履行的部分义务,将由转让后的蓝基物业享有权利,故望你公司依法对蓝基物业承担全部的合同义务。”
由于智逸公司迟迟未交付房屋,蓝基物业于2023年初将其起至西安市雁塔区法院,要求判令被告智逸公司交付位于雁塔区科技路305号高新大都荟6幢1-3层、共计3197平方米的赔偿房屋,并配合办理产权过户手续;判令智逸公司支付逾期交付房屋的违约金及经济损失合计5768.42万元。
智逸公司则辩称,合同权利的转让首要前提是“经对方同意”。《民法典》第555条规定,当事人一方经对方同意,可以将自己在合同中的权利和义务一并转让给第三人。
即荣康置业拟将《合作协议》权利义务转让给蓝基物业的,应当经被告智逸公司同意。但被告智逸公司自始至终未收到任何关于合同权利义务转让的协商函,也从未同意权利义务转让。蓝基物业来函提出《合作协议》中荣康置业权利义务已经转让至蓝基物业是未生效的。
针对此案,西安市雁塔中院认为,本案的争议焦点包括:一、蓝基物业是否具备《合作协议》主体资格,作为本案原告的主体资格是否适格;二、被告智逸公司是否存在逾期交付房屋的违约行为等。
最终在2024年10月18日,雁塔中院作出一审判决包括,智逸公司向蓝基物业交付大都荟6栋1至3层十套房屋(法院酌定3129.39平方米,附具体房号);智逸公司支付蓝基物业违约金2988万余元以及经济损失2203万余元等。
智逸公司上诉后,西安中院于2025年3月21日作出二审判决。西安中院认为,一审法院同时支持蓝基公司主张的违约金和赔偿损失的请求,客观上加重了智逸公司的违约责任,明显不当,应予改判。最终二审判令,智逸公司向蓝基物业交付十套房屋,并支付违约金2988万余元。
据智逸公司代理律师向界面新闻表示,目前上述案件已经进入执行阶段,公司正在申请再审。
小区开发商荣康置业注销企业后,将债务债权转让给蓝基物业的行为是否违规?若构成违规,又将面临何种处罚?
刘陆峰认为,这分三个层面:一是作为企业法人,荣康置业公司注销后,其主体资格消亡,无权对其权利作出处分;其在2018年注销后,2020年给智逸公司送达的债权转让通知无效;二是法律规定债权的转让不需征得债务人同意,但必须告知债务人才生效;此案中荣康置业给智逸公司送达的通知中转让的是全部权利和义务,即使荣康置业没注销,如智逸公司不同意,其转让权利义务的通知也无效;三是法院审理民事案件是谁主张,谁举证,如涉案双方都没提转让的其和是公共绿地,法院如对转让的标的是公共绿地不知情,小区业主也没有主张权利,则法院判双方履行合同,也并无过错;问题是法院明知使荣康置业已注销,对单方转让其涉权利和义务的通知力确认有效,这是典型的枉法裁判,依法应追责。
魏栋则认为,判断荣康置业将债务债权转让给蓝基物业的行为是否违规,需结合荣康公司与蓝基物业签署的权利义务转移《协议书》,以及荣康公司的注销登记手续进行综合分析。
魏栋说,“若荣康置业在注销前,已依据《公司法》相关规定完成合法清算程序,并在清算报告中明确债权债务处置方案,且转让行为符合《民法典》关于债权转让的规定,即债权人转让债权只需通知债务人,无需其同意,那么该转让行为具有合法性。然而,若转让过程存在瑕疵,如未经合法清算、未履行通知债务人义务,或该转让行为存在恶意串通损害业主利益等情形,依据《民法典》等相关规定,该转让行为可能被认定为无效。但目前从现有信息判断,未见该二主体之间的权利义务转移行为存在明显违法之处,但仍建议相关主体调取具体资料后,作进一步分析确认。”
对小区业主应如何维权,刘陆峰认为,目前业主可通过执行异议和执行异议之诉,对法院拟执行的房产提出执行异议,对已转走的款项可通过提起侵权之诉,将相关款项和利息追回;业主也可通过刑事举报荣康置业合同诈骗,要求公安机关追回骗走的损失。
魏栋则坦言,小区业主目前维权存在难度。“根据《公司法》第二十条第三款规定,公司股东滥用公司法人独立地位和股东有限责任,逃避债务,严重损害公司债权人利益的,应当对公司债务承担连带责任。若相关主体认为其对荣康置业依法享有债权请求权,且荣康置业利用合法形式以及与蓝基物业股权关系的关联性逃避履行债务,可依法向人民法院提起公司人格否认之诉,即‘刺破公司面纱’,直接追究公司实际控制人的责任。”
魏栋说,需要注意的是,在诉讼过程中,当事人需承担严格的举证责任,需提供充分证据证明以下关键事实:一是荣康置业与蓝基物业存在股权交叉、实际控制人同一或高度关联的情形;二是两公司之间存在业务混同、财务混同、人员混同的迹象;三是荣康置业通过与蓝基物业的关联关系,实施了恶意转移资产、逃避债务等损害债权人利益的行为。尤其是,被诉公司无需承担举证责任,因此投诉人应积极收集工商登记资料、财务报表、业务合同等证据,以支撑其主张。
